Просмотреть
Добавить
Копировать
Редактировать
Удалить
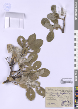
LE 01357779

LE 01357779

Disporum viridescens (Maxim.) Nakai⁣

Дополнительные определения: Disporum smilacinum A. Gray⁣ det. Mikhajlova, Marina Аntonovna
Коллекторы: Mikhajlova, Marina Аntonovna Полевой номер образца: 144. Дата сбора: 11.06.1978.
Административные регионы: RU - Primorskiy Kray - Khasanskiy Rayon.
Группы образцов: Образцы сектора Сибири и Дальнего Востока России
Текст оригинальной этикетки:
ДВ, Приморье, Хасанский район, заповедник "Кедровая Падь", от базы вниз по р. Кедровой. Галечники в старицах.
Координаты: 43° 5′ 29.95″ N, 131° 34′ 6.33″ E ±1000 m
Создание записи: 2026-02-27, Marina Yarichina, PhotoScan D2
Цитирование: Образец LE 01357779 // Виртуальный гербарий Ботанического института им. В. Л. Комарова РАН — http://rr.herbariumle.ru/01357779
Подробнее...
LE 01357778

LE 01357778

Disporum viridescens (Maxim.) Nakai⁣

Дополнительные определения: Disporum smilacinum A. Gray⁣ det. Vassiljev, Viktor Nikolayevich
Коллекторы: Dmitrieva, E. V. Дата сбора: 22.08.1952.
Административные регионы: RU - Primorskiy Kray - Shkotovskiy Rayon. Топоним: река Пейшула (Суворовка).
Экспедиция: Дальневосточная чайная экспедиция (1952 -1952)
Группы образцов: Образцы сектора Сибири и Дальнего Востока России
Текст оригинальной этикетки:
Южное Приморье. Урочище Пейшула (бассейн р. Майхэ), г. Змеиная, восточный склон. Широколиственный лес.
Координаты: 43° 38′ 30.44″ N, 132° 33′ 0.79″ E ±700 m
Создание записи: 2026-02-27, Marina Yarichina, PhotoScan D2
Цитирование: Образец LE 01357778 // Виртуальный гербарий Ботанического института им. В. Л. Комарова РАН — http://rr.herbariumle.ru/01357778
Подробнее...
LE 01357777

LE 01357777

Disporum viridescens (Maxim.) Nakai⁣

Коллекторы: Vassiljev, Viktor Nikolayevich Дата сбора: 21.06.1924.
Административные регионы: RU - Primorskiy Kray - Partizanskiy Rayon. Топоним: Сучанский Рудник (город Партизанск).
Группы образцов: Образцы сектора Сибири и Дальнего Востока России
Текст оригинальной этикетки:
Сучанский район, окрестности Сучанского Рудника, лесная поляна по склону сопки.
Координаты: 43° 7′ 10.14″ N, 133° 6′ 0.31″ E ±2000 m
Создание записи: 2026-02-27, Marina Yarichina, PhotoScan D2
Цитирование: Образец LE 01357777 // Виртуальный гербарий Ботанического института им. В. Л. Комарова РАН — http://rr.herbariumle.ru/01357777
Подробнее...
LE 01203665

LE 01203665

Bulbophyllum astelidum Aver.⁣ det. Averyanov, Leonid Vladimirovich at 26.02.2026

Коллекторы: Averyanov, Leonid Vladimirovich; Maisak, Tatiana Viktorovna Полевой номер образца: AL4511. Дата сбора: 26.02.2026.
Административные регионы: VN - Tinh Lam GJong.
Группы образцов: L. V. Averyanov specimens; L. V. Averyanov photos; Flora of Vietnam
Текст оригинальной этикетки:
FLORA OF VIETNAM
Orchidaceae
Bulbophyllum astelidum Aver.

Lam Dong Province, Bidoup Nui Ba National Park, humid primary evergreen broad-leaved and secondary mixed (with Pinus kesiya) forest at elevation of 1200-2100 m a.s.l.
14-26 January 2026, A. Petrov, AL4511 (living plant only).

Flowered in culture on 26.02.2026, L. Averyanov, AL4511.
Комментарий:
All photos © L. Averyanov
Создание записи: 2026-02-26, Аверьянов Леонид Владимирович. Статус обработки: work_status_1
Цитирование: Образец LE 01203665 // Виртуальный гербарий Ботанического института им. В. Л. Комарова РАН — http://rr.herbariumle.ru/01203665
Подробнее...
LE 01318967

LE 01318967

Vernonia sp.⁣ at 18.12.1986

Коллекторы: Unknown Полевой номер образца: LX-VN3256. Дата сбора: 18.12.1986.
Административные регионы: VN - Thanh Pho Hai Phong.
Группы образцов: L. V. Averyanov specimens; L. V. Averyanov herbarium; Flora of Vietnam
Текст оригинальной этикетки:
FLORA OF VIETNAM
Asteraceae
Vernonia sp.⁣

Hai Phong Prov.
LX-VN 3256, 18.12.1986
Создание записи: 2026-02-26, Galina Savich, PhotoScan D2. Статус обработки: work_status_1
Цитирование: Образец LE 01318967 // Виртуальный гербарий Ботанического института им. В. Л. Комарова РАН — http://rr.herbariumle.ru/01318967
Подробнее...
LE 01318966

LE 01318966

Vernonia sp.⁣ det. Averyanov, Leonid Vladimirovich at 03.03.2026

Коллекторы: Unknown Полевой номер образца: LX-VN3519. Дата сбора: 27.12.1987.
Административные регионы: VN - Thanh Pho Hai Phong.
Группы образцов: L. V. Averyanov specimens; L. V. Averyanov herbarium; Flora of Vietnam
Текст оригинальной этикетки:
FLORA OF VIETNAM
Asteraceae
Vernonia sp.

Hai Phong Prov.
LX-VN 3519, 27.12.1987
Det. Averyanov L. 03.03.2026
Создание записи: 2026-02-26, Galina Savich, PhotoScan D2. Статус обработки: work_status_1
Цитирование: Образец LE 01318966 // Виртуальный гербарий Ботанического института им. В. Л. Комарова РАН — http://rr.herbariumle.ru/01318966
Подробнее...
LE 01318965

LE 01318965

Vernonia sp.⁣ at 04.01.1989

Коллекторы: Unknown Полевой номер образца: LX-VN4119. Дата сбора: 04.01.1989.
Административные регионы: VN - Gia Lai; VN - Kon Tum.
Группы образцов: L. V. Averyanov specimens; L. V. Averyanov herbarium; Flora of Vietnam
Текст оригинальной этикетки:
FLORA OF VIETNAM
Asteraceae
Vernonia sp.⁣

Gia Lai, Kon Tum Prov.
LX-VN 4119, 04.01.1989
Создание записи: 2026-02-26, Galina Savich, PhotoScan D2. Статус обработки: work_status_1
Цитирование: Образец LE 01318965 // Виртуальный гербарий Ботанического института им. В. Л. Комарова РАН — http://rr.herbariumle.ru/01318965
Подробнее...
LE 01318964

LE 01318964

Vernonia sp.⁣ at 13.04.1984

Коллекторы: Unknown Полевой номер образца: LX-VN1502. Дата сбора: 13.04.1984.
Административные регионы: VN - Tinh Lam GJong.
Группы образцов: L. V. Averyanov specimens; L. V. Averyanov herbarium; Flora of Vietnam
Текст оригинальной этикетки:
FLORA OF VIETNAM
Asteraceae
Vernonia sp.⁣

Lam Dong Prov.
LX-VN1502, 13.04.1984
Создание записи: 2026-02-26, Galina Savich, PhotoScan D2. Статус обработки: work_status_1
Цитирование: Образец LE 01318964 // Виртуальный гербарий Ботанического института им. В. Л. Комарова РАН — http://rr.herbariumle.ru/01318964
Подробнее...
LE 01318963

LE 01318963

Vernonia sp.⁣ at 21.12.1986

Коллекторы: Unknown Полевой номер образца: LX-VN3289. Дата сбора: 21.12.1986.
Административные регионы: VN - Thanh Pho Hai Phong.
Группы образцов: L. V. Averyanov specimens; L. V. Averyanov herbarium; Flora of Vietnam
Текст оригинальной этикетки:
FLORA OF VIETNAM
Asteraceae
Vernonia sp.⁣

Hai Phong Prov.
LX-VN 3289,21.12.1986
Создание записи: 2026-02-26, Galina Savich, PhotoScan D2. Статус обработки: work_status_1
Цитирование: Образец LE 01318963 // Виртуальный гербарий Ботанического института им. В. Л. Комарова РАН — http://rr.herbariumle.ru/01318963
Подробнее...
LE 01318962

LE 01318962

Vernonia sp.⁣ at 04.01.1989

Коллекторы: Unknown Полевой номер образца: LX-VN4119. Дата сбора: 04.01.1989.
Административные регионы: VN - Gia Lai; VN - Kon Tum.
Группы образцов: L. V. Averyanov specimens; L. V. Averyanov herbarium; Flora of Vietnam
Текст оригинальной этикетки:
FLORA OF VIETNAM
Asteraceae
Vernonia sp.⁣

Gia Lai, Kon Tum Prov.
LX-VN 4119, 04.01.1989
Создание записи: 2026-02-26, Galina Savich, PhotoScan D2. Статус обработки: work_status_1
Цитирование: Образец LE 01318962 // Виртуальный гербарий Ботанического института им. В. Л. Комарова РАН — http://rr.herbariumle.ru/01318962
Подробнее...
LE 01318961

LE 01318961

Vernonia sp.⁣ at 07.01.1989

Коллекторы: Unknown Полевой номер образца: LX-VN4240. Дата сбора: 07.01.1989.
Административные регионы: VN - Gia Lai; VN - Kon Tum.
Группы образцов: L. V. Averyanov specimens; L. V. Averyanov herbarium; Flora of Vietnam
Текст оригинальной этикетки:
FLORA OF VIETNAM
Asteraceae
Vernonia sp.⁣

Gia Lai, Kon Tum Prov.
LX-VN 4240, 07.01.1989
Создание записи: 2026-02-26, Galina Savich, PhotoScan D2. Статус обработки: work_status_1
Цитирование: Образец LE 01318961 // Виртуальный гербарий Ботанического института им. В. Л. Комарова РАН — http://rr.herbariumle.ru/01318961
Подробнее...
LE 01318960

LE 01318960

Vernonia gratiosa Hance.⁣ det. Averyanov, Leonid Vladimirovich at 21.03.1987

Коллекторы: Averyanov, Leonid Vladimirovich; Kudryavtzeva, Ekaterina Petrovna Полевой номер образца: Averyanov219. Дата сбора: 21.03.1987.
Административные регионы: VN - Tinh Quang Ninh.
Группы образцов: L. V. Averyanov specimens; L. V. Averyanov herbarium; Flora of Vietnam
Текст оригинальной этикетки:
FLORA OF VIETNAM
Asteraceae
Vernonia gratiosa Hance.⁣

Quang Ninh Prov.
Averyanov L., Kudryavtzeva E.
Averyanov 219, 21.03.1987
Создание записи: 2026-02-26, Galina Savich, PhotoScan D2. Статус обработки: work_status_1
Цитирование: Образец LE 01318960 // Виртуальный гербарий Ботанического института им. В. Л. Комарова РАН — http://rr.herbariumle.ru/01318960
Подробнее...
LE 01318959

LE 01318959

Vernonia gratiosa Hance.⁣ det. Averyanov, Leonid Vladimirovich at 21.03.1987

Коллекторы: Averyanov, Leonid Vladimirovich; Kudryavtzeva, Ekaterina Petrovna Полевой номер образца: Averyanov202. Дата сбора: 21.03.1987.
Административные регионы: VN - Tinh Quang Ninh.
Группы образцов: L. V. Averyanov specimens; L. V. Averyanov herbarium; Flora of Vietnam
Текст оригинальной этикетки:
FLORA OF VIETNAM
Asteraceae
Vernonia gratiosa Hance.⁣

Quang Ninh Prov.
Averyanov L., Kudryavtzeva E.
Averyanov 202, 21.03.1987
Создание записи: 2026-02-26, Galina Savich, PhotoScan D2. Статус обработки: work_status_1
Цитирование: Образец LE 01318959 // Виртуальный гербарий Ботанического института им. В. Л. Комарова РАН — http://rr.herbariumle.ru/01318959
Подробнее...
LE 01318958

LE 01318958

Vernonia andersonii C.B.Clarke.⁣ det. Averyanov, Leonid Vladimirovich at 11.06.1989

Коллекторы: Averyanov, Leonid Vladimirovich; Kudryavtzeva, Ekaterina Petrovna Полевой номер образца: Averyanov217. Дата сбора: 11.06.1989.
Административные регионы: VN - Tinh Khanh Hoa.
Группы образцов: L. V. Averyanov specimens; L. V. Averyanov herbarium; Flora of Vietnam
Текст оригинальной этикетки:
FLORA OF VIETNAM
Asteraceae
Vernonia andersonii C.B.Clarke.

Khanh Hoa Prov.
Averyanov L., Kudryavtzeva E.
Averyanov 217, 11.06.1989
Создание записи: 2026-02-26, Galina Savich, PhotoScan D2. Статус обработки: work_status_1
Цитирование: Образец LE 01318958 // Виртуальный гербарий Ботанического института им. В. Л. Комарова РАН — http://rr.herbariumle.ru/01318958
Подробнее...
LE 01318957

LE 01318957

Vernonia sp.⁣ det. Averyanov, Leonid Vladimirovich at 26.02.2026

Коллекторы: Unknown Полевой номер образца: 1626. Дата сбора: 20.01.1961.
Административные регионы: VN - Vietnam.
Группы образцов: L. V. Averyanov specimens; L. V. Averyanov herbarium; Flora of Vietnam
Текст оригинальной этикетки:
FLORA OF VIETNAM
Asteraceae
Vernonia sp.

Vietnam.
1626, 20.01.1961
Det. Averyanov L. 26.02.2026
Создание записи: 2026-02-26, Galina Savich, PhotoScan D2. Статус обработки: work_status_1
Цитирование: Образец LE 01318957 // Виртуальный гербарий Ботанического института им. В. Л. Комарова РАН — http://rr.herbariumle.ru/01318957
Подробнее...
LE 01318956

LE 01318956

Vernonia sp.⁣ det. Averyanov, Leonid Vladimirovich at 26.02.2026

Коллекторы: Avrorin, Nikolay Alexandrovich; Luong Ngoc Toan Полевой номер образца: Avrorin12341. Дата сбора: 02.06.1963.
Административные регионы: VN - Tinh Lao Cai.
Группы образцов: L. V. Averyanov specimens; L. V. Averyanov herbarium; Flora of Vietnam
Текст оригинальной этикетки:
FLORA OF VIETNAM
Asteraceae
Vernonia sp.⁣

Lao Cai Prov.
Avrorin N., Luong Ngoc Toan
Avrorin 12341, 02.06.1963
Создание записи: 2026-02-26, Galina Savich, PhotoScan D2. Статус обработки: work_status_1
Цитирование: Образец LE 01318956 // Виртуальный гербарий Ботанического института им. В. Л. Комарова РАН — http://rr.herbariumle.ru/01318956
Подробнее...
LE 01318955

LE 01318955

Vernonia sp.⁣ det. Averyanov, Leonid Vladimirovich at 26.02.2026

Коллекторы: Avrorin, Nikolay Alexandrovich; Luong Ngoc Toan Полевой номер образца: Avrorin10342. Дата сбора: 12.06.1963.
Административные регионы: VN - Tinh Quang Ninh.
Группы образцов: L. V. Averyanov specimens; L. V. Averyanov herbarium; Flora of Vietnam
Текст оригинальной этикетки:
FLORA OF VIETNAM
Asteraceae
Vernonia sp.⁣

Quang Ninh Prov.
Avrorin N., Luong Ngoc Toan
Avrorin 10342, 12.06.1963
Det. Averyanov L. 26.02.2026
Создание записи: 2026-02-26, Galina Savich, PhotoScan D2. Статус обработки: work_status_1
Цитирование: Образец LE 01318955 // Виртуальный гербарий Ботанического института им. В. Л. Комарова РАН — http://rr.herbariumle.ru/01318955
Подробнее...
LE 01318954

LE 01318954

Vernonia sp.⁣ det. Averyanov, Leonid Vladimirovich at 26.02.2026

Коллекторы: Avrorin, Nikolay Alexandrovich; Thai Van Trung; Luong Ngoc Toan Полевой номер образца: Avrorin10274. Дата сбора: 13.05.1963.
Административные регионы: VN - Tinh Ninh Binh.
Группы образцов: L. V. Averyanov specimens; L. V. Averyanov herbarium; Flora of Vietnam
Текст оригинальной этикетки:
FLORA OF VIETNAM
Asteraceae
Vernonia sp.⁣

Ninh Binh Prov.
Avrorin N., Luong Ngoc Toan, Thai Van Trung
Avrorin 10274, 13.05.1963
Det. Averyanov L. 26.02.2026
Создание записи: 2026-02-26, Galina Savich, PhotoScan D2. Статус обработки: work_status_1
Цитирование: Образец LE 01318954 // Виртуальный гербарий Ботанического института им. В. Л. Комарова РАН — http://rr.herbariumle.ru/01318954
Подробнее...
LE 01318953

LE 01318953

Vernonia aspera Buch.-Ham.⁣ ⟮prelim. ID⟯ det. Averyanov, Leonid Vladimirovich at 02.03.1995

Коллекторы: Averyanov, Leonid Vladimirovich; et al. Полевой номер образца: VH343. Дата сбора: 02.03.1995.
Административные регионы: VN - Kon Tum.
Группы образцов: L. V. Averyanov specimens; L. V. Averyanov herbarium; Flora of Vietnam
Текст оригинальной этикетки:
FLORA OF VIETNAM
Fam. Asteraceae Dumort.
Vernonia aspera (Roxb.) Buch-Ham. ?

S. Vietnam, Prov. Kontum. NW slopes of Ngoc Linh mountain system at 1600 m alt. In primary evegreen forest on rocks along mountain stream. Herb up to 1.5 m high. Flowers violet.
No VH 343 02.03.1995
International Botanical Expedition of the U.S.A. National Geographic
Society (grant No 5094-93)
Participants: L. Averyanov, N.T. Ban, N. Q. Binh, A. Budantzev, L. Budantzev, N.T. Hiep, D.D. Huyen, P.K. Loc, N.X. Tam, G. Yakovlev
Создание записи: 2026-02-26, Galina Savich, PhotoScan D2. Статус обработки: work_status_1
Цитирование: Образец LE 01318953 // Виртуальный гербарий Ботанического института им. В. Л. Комарова РАН — http://rr.herbariumle.ru/01318953
Подробнее...
LE 01318952

LE 01318952

Vernonia solanifolia Benth.⁣ ⟮prelim. ID⟯ det. Konechnaya, Galina Yurievna at 12.07.1995

Коллекторы: Averyanov, Leonid Vladimirovich; et al. Полевой номер образца: VH171. Дата сбора: 23.02.1995.
Административные регионы: VN - Kon Tum.
Группы образцов: L. V. Averyanov specimens; L. V. Averyanov herbarium; Flora of Vietnam
Текст оригинальной этикетки:
FLORA OF VIETNAM
Asteraceae Dumort.
Vernonia

South Vietnam, Prov. Kontum. NW slopes of Ngoc Linh mountain system at 1800 m elevation. Open secondary forest in wet place. Climbing shrub up to 2 m high. Flowers yellowish.
No. VH 171 23 February 1995
International Botanical Expedition sponsored by the National Geographic Society (Grant 5094-93).
Participants: L. Averyanov, N.T. Ban, N. Q. Binh, A. Budantzev, L. Budantzev, N.T. Hiep, D.D. Huyen, P.K. Loc, N.X. Tam, G. Yakovlev.
Создание записи: 2026-02-26, Galina Savich, PhotoScan D2. Статус обработки: work_status_1
Цитирование: Образец LE 01318952 // Виртуальный гербарий Ботанического института им. В. Л. Комарова РАН — http://rr.herbariumle.ru/01318952
Подробнее...
LE 01318951

LE 01318951

Vernonia sp.⁣ det. Averyanov, Leonid Vladimirovich at 04.01.1996

Коллекторы: Averyanov, Leonid Vladimirovich; et al. Полевой номер образца: VH2470. Дата сбора: 04.01.1996.
Административные регионы: VN - Tinh Cao Bang.
Группы образцов: L. V. Averyanov specimens; L. V. Averyanov herbarium; Flora of Vietnam
Текст оригинальной этикетки:
FLORA OF VIETNAM
Fam. Asteraceae
Vernonia sp.

N. Vietnam, Prov. Cao Bang, Distr. Tra Linh, Subdistr. Quoc Toan, evergreen forest on slopes of remnant limestone mountains near Thang Heng lake in environs of Thang Hen and Lung Tao villages. Climbing shrub or vine up to 4 m lg. Flowers yellowish-violet. Very common at 600-650 m alt., especially in wet places in secondary associations.
No VH 2470 04.01.1996
International Botanical Expedition of the U.S.A. National Geographic Society (grant No 5094-93)
Participants: L. Averyanov, N.T. Ban, A. Budantzev, L. Budantzev, N.T. Hiep, D.D. Huyen, P.K. Loc, G. Yakovlev
Создание записи: 2026-02-26, Galina Savich, PhotoScan D2. Статус обработки: work_status_1
Цитирование: Образец LE 01318951 // Виртуальный гербарий Ботанического института им. В. Л. Комарова РАН — http://rr.herbariumle.ru/01318951
Подробнее...
LE 01318950

LE 01318950

Vernonia sp.⁣ det. Averyanov, Leonid Vladimirovich at 17.11.1995

Коллекторы: Averyanov, Leonid Vladimirovich; et al. Полевой номер образца: VH1746. Дата сбора: 17.11.1995.
Административные регионы: VN - Kon Tum.
Группы образцов: L. V. Averyanov specimens; L. V. Averyanov herbarium; Flora of Vietnam
Текст оригинальной этикетки:
FLORA OF VIETNAM
Fam. Asteraceae
Vernonia sp.

S. Vietnam, Prov. Kon Tum, Distr. Dak Gley, about 12 km to N of Dak Gley town (24 km by road), near Mang Khen village. Primary wet mountain evergreen forest at 1100-1200 m alt. Woody vine about 10 m lg. Not common.
No VH 1746 17.11.1995
International Botanical Expedition of the U.S.A. National Geographic Society (grant No 5094-93)
Participants: L. Averyanov, N.T. Ban, A. Budantzev, L. Budantzev,
N.T. Hiep, D.D. Huyen, P.K. Loc, G. Yakovlev
Создание записи: 2026-02-26, Galina Savich, PhotoScan D2. Статус обработки: work_status_1
Цитирование: Образец LE 01318950 // Виртуальный гербарий Ботанического института им. В. Л. Комарова РАН — http://rr.herbariumle.ru/01318950
Подробнее...
LE 01318949

LE 01318949

Vernonia sp.⁣ det. Averyanov, Leonid Vladimirovich at 19.11.1995

Коллекторы: Averyanov, Leonid Vladimirovich; et al. Полевой номер образца: VH1824. Дата сбора: 19.11.1995.
Административные регионы: VN - Kon Tum.
Группы образцов: L. V. Averyanov specimens; L. V. Averyanov herbarium; Flora of Vietnam
Текст оригинальной этикетки:
FLORA OF VIETNAM
Fam. Asteraceae
Vernonia sp.

S. Vietnam, Prov. Kon Tum, Distr. Dak Gley, about 10 km to N of Dak Gley town, between Dak Nen and Mang Khen (Dak Che) villages. Secondary evergreen mountain forest rich in primary elements at 800-900 m alt.
Woody vine about 6 m lg. Marginal flowers purple.
No VH 1824 19.11.1995
International Botanical Expedition of the U.S.A. National Geographic Society (grant No 5094-93)
Participants: L. Averyanov, N.T. Ban, A. Budantzev, L. Budantzev, N.T. Hiep, D.D. Huyen, P.K. Loc, G. Yakovlev
Создание записи: 2026-02-26, Galina Savich, PhotoScan D2. Статус обработки: work_status_1
Цитирование: Образец LE 01318949 // Виртуальный гербарий Ботанического института им. В. Л. Комарова РАН — http://rr.herbariumle.ru/01318949
Подробнее...
LE 01318948

LE 01318948

Vernonia sp.⁣ det. Averyanov, Leonid Vladimirovich at 17.11.1995

Коллекторы: Averyanov, Leonid Vladimirovich; et al. Полевой номер образца: VH1740. Дата сбора: 17.11.1995.
Административные регионы: VN - Kon Tum.
Группы образцов: L. V. Averyanov specimens; L. V. Averyanov herbarium; Flora of Vietnam
Текст оригинальной этикетки:
FLORA OF VIETNAM
Fam. Asteraceae
Vernonia sp.

S. Vietnam, Prov. Kon Tum, Distr. Dak Gley, about 12 km to N of Dak Gley town (24 km by road), near Mang Khen village. Primary wet mountain evergreen forest at 1100-1200 m alt. Herb vine up to 10 m lg. Not common.
No VH 1740 17.11.1995
International Botanical Expedition of the U.S.A. National Geographic Society (grant No 5094-93)
Participants: L. Averyanov, N.T. Ban, A. Budantzev, L. Budantzev,
N.T. Hiep, D.D. Huyen, P.K. Loc, G. Yakovlev
Создание записи: 2026-02-26, Galina Savich, PhotoScan D2. Статус обработки: work_status_1
Цитирование: Образец LE 01318948 // Виртуальный гербарий Ботанического института им. В. Л. Комарова РАН — http://rr.herbariumle.ru/01318948
Подробнее...
LE 01318947

LE 01318947

Vernonia sp.⁣ at 29.01.1961

Коллекторы: Unknown Полевой номер образца: 1730. Дата сбора: 29.01.1961.
Административные регионы: VN - Vietnam.
Группы образцов: L. V. Averyanov specimens; L. V. Averyanov herbarium; Flora of Vietnam
Текст оригинальной этикетки:
FLORA OF VIETNAM
Fam. Asteraceae
Vernonia sp.

Vietnam.
1730, 29.01.1961
Создание записи: 2026-02-26, Galina Savich, PhotoScan D2. Статус обработки: work_status_1
Цитирование: Образец LE 01318947 // Виртуальный гербарий Ботанического института им. В. Л. Комарова РАН — http://rr.herbariumle.ru/01318947
Подробнее...
LE 01318946

LE 01318946

Vernonia sp.⁣ at 29.01.1961

Коллекторы: Unknown Полевой номер образца: 1730. Дата сбора: 29.01.1961.
Административные регионы: VN - Vietnam.
Группы образцов: L. V. Averyanov specimens; L. V. Averyanov herbarium; Flora of Vietnam
Текст оригинальной этикетки:
FLORA OF VIETNAM
Fam. Asteraceae
Vernonia sp.

Vietnam.
1730, 29.01.1961
Создание записи: 2026-02-26, Galina Savich, PhotoScan D2. Статус обработки: work_status_1
Цитирование: Образец LE 01318946 // Виртуальный гербарий Ботанического института им. В. Л. Комарова РАН — http://rr.herbariumle.ru/01318946
Подробнее...
LE 01318945

LE 01318945

Vernonia sp.⁣ at 26.01.1961

Коллекторы: Unknown Полевой номер образца: 1724. Дата сбора: 26.01.1961.
Административные регионы: VN - Vietnam.
Группы образцов: L. V. Averyanov specimens; L. V. Averyanov herbarium; Flora of Vietnam
Текст оригинальной этикетки:
FLORA OF VIETNAM
Fam. Asteraceae
Vernonia sp.

Vietnam.
1724, 26.01.1961
Создание записи: 2026-02-26, Galina Savich, PhotoScan D2. Статус обработки: work_status_1
Цитирование: Образец LE 01318945 // Виртуальный гербарий Ботанического института им. В. Л. Комарова РАН — http://rr.herbariumle.ru/01318945
Подробнее...
LE 01318944

LE 01318944

Vernonia sp.⁣ at 30.05.1961

Коллекторы: Unknown Полевой номер образца: 2674. Дата сбора: 30.05.1961.
Административные регионы: VN - Tinh Son La.
Группы образцов: L. V. Averyanov specimens; L. V. Averyanov herbarium; Flora of Vietnam
Текст оригинальной этикетки:
FLORA OF VIETNAM
Fam. Asteraceae
Vernonia sp.

Son La Prov.
2674, 30.05.1961
Создание записи: 2026-02-26, Galina Savich, PhotoScan D2. Статус обработки: work_status_1
Цитирование: Образец LE 01318944 // Виртуальный гербарий Ботанического института им. В. Л. Комарова РАН — http://rr.herbariumle.ru/01318944
Подробнее...
LE 01318943

LE 01318943

Vernonia sp.⁣ at 30.05.1961

Коллекторы: Unknown Полевой номер образца: 2674. Дата сбора: 30.05.1961.
Административные регионы: VN - Tinh Son La.
Группы образцов: L. V. Averyanov specimens; L. V. Averyanov herbarium; Flora of Vietnam
Текст оригинальной этикетки:
FLORA OF VIETNAM
Fam. Asteraceae
Vernonia sp.

Son La Prov.
2674, 30.05.1961
Создание записи: 2026-02-26, Galina Savich, PhotoScan D2. Статус обработки: work_status_1
Цитирование: Образец LE 01318943 // Виртуальный гербарий Ботанического института им. В. Л. Комарова РАН — http://rr.herbariumle.ru/01318943
Подробнее...
LE 01318942

LE 01318942

Vernonia sp.⁣ at 21.05.1961

Коллекторы: Unknown Полевой номер образца: 2632. Дата сбора: 21.05.1961.
Административные регионы: VN - Tinh Lao Cai.
Группы образцов: L. V. Averyanov specimens; L. V. Averyanov herbarium; Flora of Vietnam
Текст оригинальной этикетки:
FLORA OF VIETNAM
Fam. Asteraceae
Vernonia sp.

Lao Cai Prov.
2632, 21.05.1961
Создание записи: 2026-02-26, Galina Savich, PhotoScan D2. Статус обработки: work_status_1
Цитирование: Образец LE 01318942 // Виртуальный гербарий Ботанического института им. В. Л. Комарова РАН — http://rr.herbariumle.ru/01318942
Подробнее...
LE 01318941

LE 01318941

Vernonia sp.⁣ at 21.05.1961

Коллекторы: Unknown Полевой номер образца: 2632. Дата сбора: 21.05.1961.
Административные регионы: VN - Tinh Lao Cai.
Группы образцов: L. V. Averyanov specimens; L. V. Averyanov herbarium; Flora of Vietnam
Текст оригинальной этикетки:
FLORA OF VIETNAM
Fam. Asteraceae
Vernonia sp.

Lao Cai Prov.
2632, 21.05.1961
Создание записи: 2026-02-26, Galina Savich, PhotoScan D2. Статус обработки: work_status_1
Цитирование: Образец LE 01318941 // Виртуальный гербарий Ботанического института им. В. Л. Комарова РАН — http://rr.herbariumle.ru/01318941
Подробнее...
LE 01318940

LE 01318940

Vernonia sp.⁣ at 10.03.1962

Коллекторы: Unknown Полевой номер образца: 3337. Дата сбора: 10.03.1962.
Административные регионы: VN - Tinh Lang Son.
Группы образцов: L. V. Averyanov specimens; L. V. Averyanov herbarium; Flora of Vietnam
Текст оригинальной этикетки:
FLORA OF VIETNAM
Fam. Asteraceae
Vernonia sp.

Lang Son Prov.
3337, 10.03.1962
Создание записи: 2026-02-26, Galina Savich, PhotoScan D2. Статус обработки: work_status_1
Цитирование: Образец LE 01318940 // Виртуальный гербарий Ботанического института им. В. Л. Комарова РАН — http://rr.herbariumle.ru/01318940
Подробнее...
LE 01318939

LE 01318939

Vernonia sp.⁣ at 15.03.1962

Коллекторы: Unknown Полевой номер образца: 3446. Дата сбора: 15.03.1962.
Административные регионы: VN - Tinh Lang Son.
Группы образцов: L. V. Averyanov specimens; L. V. Averyanov herbarium; Flora of Vietnam
Текст оригинальной этикетки:
FLORA OF VIETNAM
Fam. Asteraceae
Vernonia sp.

Lang Son Prov.
3446, 15.03.1962
Создание записи: 2026-02-26, Galina Savich, PhotoScan D2. Статус обработки: work_status_1
Цитирование: Образец LE 01318939 // Виртуальный гербарий Ботанического института им. В. Л. Комарова РАН — http://rr.herbariumle.ru/01318939
Подробнее...
LE 01318938

LE 01318938

Vernonia sp.⁣ at 06.03.1962

Коллекторы: Unknown Полевой номер образца: 3360. Дата сбора: 06.03.1962.
Административные регионы: VN - Tinh Lang Son.
Группы образцов: L. V. Averyanov specimens; L. V. Averyanov herbarium; Flora of Vietnam
Текст оригинальной этикетки:
FLORA OF VIETNAM
Fam. Asteraceae
Vernonia sp.

Lang Son Prov.
3360, 06.03.1962
Создание записи: 2026-02-26, Galina Savich, PhotoScan D2. Статус обработки: work_status_1
Цитирование: Образец LE 01318938 // Виртуальный гербарий Ботанического института им. В. Л. Комарова РАН — http://rr.herbariumle.ru/01318938
Подробнее...
LE 01318937

LE 01318937

Vernonia sp.⁣ at 08.04.1962

Коллекторы: Unknown Полевой номер образца: 3912. Дата сбора: 08.04.1962.
Административные регионы: VN - Tinh Lang Son.
Группы образцов: L. V. Averyanov specimens; L. V. Averyanov herbarium; Flora of Vietnam
Текст оригинальной этикетки:
FLORA OF VIETNAM
Asteraceae
Vernonia sp.

Lang Son Prov.
3912, 08.04.1962
Создание записи: 2026-02-26, Galina Savich, PhotoScan D2
Цитирование: Образец LE 01318937 // Виртуальный гербарий Ботанического института им. В. Л. Комарова РАН — http://rr.herbariumle.ru/01318937
Подробнее...
LE 01318936

LE 01318936

Vernonia sp.⁣ det. Averyanov, Leonid Vladimirovich

Коллекторы: Unknown Полевой номер образца: 3512. Дата сбора: 1962.
Административные регионы: VN - Vietnam.
Группы образцов: L. V. Averyanov specimens; L. V. Averyanov herbarium; Flora of Vietnam
Текст оригинальной этикетки:
FLORA OF VIETNAM
Asteraceae
Vernonia sp.

Vietnam.
3512, 1962
Создание записи: 2026-02-26, Galina Savich, PhotoScan D2
Цитирование: Образец LE 01318936 // Виртуальный гербарий Ботанического института им. В. Л. Комарова РАН — http://rr.herbariumle.ru/01318936
Подробнее...
LE 01318935

LE 01318935

Vernonia sp.⁣ det. Nguyen Tien Ban at 27.10.1971

Коллекторы: Unknown Полевой номер образца: 6603. Дата сбора: 16.05.1962.
Административные регионы: VN - Vietnam.
Группы образцов: L. V. Averyanov specimens; L. V. Averyanov herbarium; Flora of Vietnam
Текст оригинальной этикетки:
FLORA OF VIETNAM
Asteraceae
Vernonia sp.

Vietnam.
6603, 16.05.1962
Det. Nguyen Tien Ban 27.10.1971
Создание записи: 2026-02-26, Galina Savich, PhotoScan D2
Цитирование: Образец LE 01318935 // Виртуальный гербарий Ботанического института им. В. Л. Комарова РАН — http://rr.herbariumle.ru/01318935
Подробнее...
LE 01318934

LE 01318934

Vernonia sp.⁣ det. Yakovlev, Gennady Pavlovich at 14.05.1981

Коллекторы: Yakovlev, Gennady Pavlovich Полевой номер образца: LX-VN594. Дата сбора: 14.05.1981.
Административные регионы: VN - Gia Lai; VN - Kon Tum.
Группы образцов: L. V. Averyanov specimens; L. V. Averyanov herbarium; Flora of Vietnam
Текст оригинальной этикетки:
FLORA OF VIETNAM
Asteraceae
Vernonia sp.

Gia Lai, Kon Tum Prov.
Yakovlev G., LX-VN 594
14.05.1981
Создание записи: 2026-02-26, Galina Savich, PhotoScan D2
Цитирование: Образец LE 01318934 // Виртуальный гербарий Ботанического института им. В. Л. Комарова РАН — http://rr.herbariumle.ru/01318934
Подробнее...
LE 01318933

LE 01318933

Vernonia sp.⁣ det. Yakovlev, Gennady Pavlovich at 14.05.1981

Коллекторы: Yakovlev, Gennady Pavlovich Полевой номер образца: LX-VN594. Дата сбора: 14.05.1981.
Административные регионы: VN - Gia Lai; VN - Kon Tum.
Группы образцов: L. V. Averyanov specimens; L. V. Averyanov herbarium; Flora of Vietnam
Текст оригинальной этикетки:
FLORA OF VIETNAM
Asteraceae
Vernonia sp.

Gia Lai, Kon Tum Prov.
Yakovlev G., LX-VN 594
14.05.1981
Создание записи: 2026-02-26, Galina Savich, PhotoScan D2
Цитирование: Образец LE 01318933 // Виртуальный гербарий Ботанического института им. В. Л. Комарова РАН — http://rr.herbariumle.ru/01318933
Подробнее...
LE 01318932

LE 01318932

Vernonia sp.⁣ det. Yakovlev, Gennady Pavlovich at 14.06.1981

Коллекторы: Yakovlev, Gennady Pavlovich Полевой номер образца: LX-VN837. Дата сбора: 14.06.1981.
Административные регионы: VN - Tinh Vinh Phuc.
Группы образцов: L. V. Averyanov specimens; L. V. Averyanov herbarium; Flora of Vietnam
Текст оригинальной этикетки:
FLORA OF VIETNAM
Asteraceae
Vernonia sp.

Tinh Vinh Phuc Prov.
Yakovlev G., LX-VN 837
14.06.1981
Создание записи: 2026-02-26, Galina Savich, PhotoScan D2
Цитирование: Образец LE 01318932 // Виртуальный гербарий Ботанического института им. В. Л. Комарова РАН — http://rr.herbariumle.ru/01318932
Подробнее...
LE 01318931

LE 01318931

Gynura sp.⁣ det. D.K. Harder at 03.04.2000

Коллекторы: D.K. Harder; et al. Полевой номер образца: DKH5013. Дата сбора: 03.04.2000.
Административные регионы: VN - Tinh Ha Giang.
Группы образцов: L. V. Averyanov specimens; L. V. Averyanov herbarium; Flora of Vietnam
Текст оригинальной этикетки:
VIETNAM
ASTERACEAE
Gynura

Ha Giang Prov.
Quang Ba District, Sin Suoi Ho School
and mountain range to south; collections
in degraded forest along slope (N) and
along ridge; limestone substrate and
exposed outcrop.
23°06'57"N 105°01'48"E 1100 m
Rare; stems purple; underside of leaves
light purple; outer bracts green.
3 April 2000
D. K. Harder, N.T. Hiep, L.V. Averyanov
& N. Q. Hiev 5013
MISSOURI BOTANICAL GARDEN HERBARIUM (MO)
Создание записи: 2026-02-26, Galina Savich, PhotoScan D2
Цитирование: Образец LE 01318931 // Виртуальный гербарий Ботанического института им. В. Л. Комарова РАН — http://rr.herbariumle.ru/01318931
Подробнее...
LE 01318930

LE 01318930

Vernonia sp.⁣ det. Averyanov, Leonid Vladimirovich at 18.11.1998

Коллекторы: Averyanov, Leonid Vladimirovich; et al. Полевой номер образца: CBL436. Дата сбора: 18.11.1998.
Административные регионы: VN - Tinh Cao Bang.
Группы образцов: L. V. Averyanov specimens; L. V. Averyanov herbarium; Flora of Vietnam
Текст оригинальной этикетки:
FLORA OF VIETNAM
Fam. Asteraceae
Vernonia sp.

N. Vietnam, prov. Cao Bang, distr. Bao Lac, municipality Yen Lac,vicinities of Yen Lac village (N 22ш44' E 105ш50'), about 44 km to NWW from Cao Bang town. Secondary open shrubs among limestone rocks on alluvial foothills of limestone remnant ridge at 1100 m alt. Treelet or shrub up to 4 m hg. Very common.
No CBL 436 18 Nov. 1998
International Botanical Expedition of the U.S.A. National Geographic
Society (grant No 6300-98)
Collectors: Averyanov L., P.K.Loc, N.X.Tam.
Создание записи: 2026-02-26, Galina Savich, PhotoScan D2
Цитирование: Образец LE 01318930 // Виртуальный гербарий Ботанического института им. В. Л. Комарова РАН — http://rr.herbariumle.ru/01318930
Подробнее...
LE 01318929

LE 01318929

Vernonia sp.⁣ ⟮prelim. ID⟯ det. Averyanov, Leonid Vladimirovich at 25.11.1998

Коллекторы: Averyanov, Leonid Vladimirovich; et al. Полевой номер образца: CBL641. Дата сбора: 25.11.1998.
Административные регионы: VN - Tinh Cao Bang.
Группы образцов: L. V. Averyanov specimens; L. V. Averyanov herbarium; Flora of Vietnam
Текст оригинальной этикетки:
FLORA OF VIETNAM
Fam. Asteraceae
Vernonia sp. ?

N. Vietnam, prov. Cao Bang, distr. Ha Lang, municipality Dong Loan, vicinities of Ban Lung and Lung Phuc (N 22ш46' E 106ш44'), about 50 km to E from Cao Bang town. Open primary mixed mossy semideciduous and coniferous forest along tops of limestone ridge at 650-700 m alt. Terrestrial herb up to 1.5 m hg on open bluffs. Flowers yellowish. Not rare.
No CBL 641 25 Nov. 1998
International Botanical Expedition of the U.S.A. National Geographic Society (grant No 6300-98)
Collectors: Averyanov L., P.K.Loc, N.X.Tam.
Создание записи: 2026-02-26, Galina Savich, PhotoScan D2
Цитирование: Образец LE 01318929 // Виртуальный гербарий Ботанического института им. В. Л. Комарова РАН — http://rr.herbariumle.ru/01318929
Подробнее...
LE 01318928

LE 01318928

Vernonia tonkinensis Gagnep.⁣ det. Tran T.Phuong Anh

Коллекторы: Daniel Atha; Tien Hiep Nguyen; et al. Полевой номер образца: NY-HN028. Дата сбора: 08.12.2005.
Административные регионы: VN - Tinh Lang Son.
Группы образцов: L. V. Averyanov specimens; L. V. Averyanov herbarium; Flora of Vietnam
Текст оригинальной этикетки:
FLORA OF VIETNAM
Fam. Asteraceae
Vernonia tonkinensis Gagnep.

Lang Son Prov.
Daniel Atha, Tien Hiep Nguyen et al.
NY-HN 028, 08.12.2005
Det. Tran T.Phuong Anh
Создание записи: 2026-02-26, Galina Savich, PhotoScan D2
Цитирование: Образец LE 01318928 // Виртуальный гербарий Ботанического института им. В. Л. Комарова РАН — http://rr.herbariumle.ru/01318928
Подробнее...
LE 01318927

LE 01318927

Vernonia sp.⁣ det. Tran T.Phuong Anh

Коллекторы: Daniel Atha; Tien Hiep Nguyen; et al. Полевой номер образца: NY-HN056. Дата сбора: 08.12.2005.
Административные регионы: VN - Tinh Lang Son.
Группы образцов: L. V. Averyanov specimens; L. V. Averyanov herbarium; Flora of Vietnam
Текст оригинальной этикетки:
FLORA OF VIETNAM
Fam. Asteraceae
Vernonia sp.

Lang Son Prov.
Daniel Atha, Tien Hiep Nguyen et al.
NY-HN 056, 08.12.2005
Det. Tran T.Phuong Anh
Создание записи: 2026-02-26, Galina Savich, PhotoScan D2
Цитирование: Образец LE 01318927 // Виртуальный гербарий Ботанического института им. В. Л. Комарова РАН — http://rr.herbariumle.ru/01318927
Подробнее...
LE 01318926

LE 01318926

Vernonia sp.⁣ det. Averyanov, Leonid Vladimirovich at 15.10.2005

Коллекторы: Averyanov, Leonid Vladimirovich; et al. Полевой номер образца: HLF5209. Дата сбора: 15.10.2005.
Административные регионы: VN - Tinh Lam GJong.
Группы образцов: L. V. Averyanov specimens; L. V. Averyanov herbarium; Flora of Vietnam
Текст оригинальной этикетки:
FLORA OF VIETNAM
Plants of Bi Doup – Nui Ba National Park
Asteraceae
Vernonia sp.

Vietnam, Lam Dong Prov., Lac Duong Distr., Da Chais Municipality, around point 12є07’39’N 108є39’17’’E, at elevation 1600-1800 m a.s.l. W slope of Bi Doup mt. Grassy secondary woodlands with Pinus kesiya on steep mountain slopes.
Terrestrial herb up to 1 m tall. Flowers light violet. Locally common.
HLF 5209 15 October 2005.
Coll. L.Averyanov, P.K.Loc, J.Regalado, T.T.T.Trang, T.V.Thao, N.V.Duy, N.T.Vinh.
Grant from Henry Luce Foundation.
Создание записи: 2026-02-26, Galina Savich, PhotoScan D2
Цитирование: Образец LE 01318926 // Виртуальный гербарий Ботанического института им. В. Л. Комарова РАН — http://rr.herbariumle.ru/01318926
Подробнее...
LE 01318925

LE 01318925

Vernonia sp.⁣ det. Averyanov, Leonid Vladimirovich at 11.06.2004

Коллекторы: Averyanov, Leonid Vladimirovich; et al. Полевой номер образца: HAL5648. Дата сбора: 11.06.2004.
Административные регионы: VN - Tinh Cao Bang.
Группы образцов: L. V. Averyanov specimens; L. V. Averyanov herbarium; Flora of Vietnam
Текст оригинальной этикетки:
FLORA OF VIETNAM
Fam. Asteraceae
Vernonia sp.

N.Vietnam, Cao Bang Prov., Trung Khanh Distr., Ngoc Khe Municipality, Pac Nga village, around point 22є54'59''N, 106є31'44''E, at elevation 800-850 m a.s.l. Remnants of primary broad-leaved evergreen and coniferous forest along rocky tops of rocky ridges and mesae composed with light gray solid marble-like highly eroded crystalline limestone.
Herbaceous or hemiwoody vine 4-6 m long. Flowers white. Occasional.
No HAL 5648 11 June 2004 (Photo)
Collectors: L.Averyanov, P.K.Loc, P.V.The, N.T.Vinh.
Создание записи: 2026-02-26, Galina Savich, PhotoScan D2
Цитирование: Образец LE 01318925 // Виртуальный гербарий Ботанического института им. В. Л. Комарова РАН — http://rr.herbariumle.ru/01318925
Подробнее...
LE 01318924

LE 01318924

Vernonia sp.⁣ det. Averyanov, Leonid Vladimirovich at 27.03.2002

Коллекторы: Averyanov, Leonid Vladimirovich; et al. Полевой номер образца: HAL2808. Дата сбора: 27.03.2002.
Административные регионы: VN - Tinh Lao Cai.
Группы образцов: L. V. Averyanov specimens; L. V. Averyanov herbarium; Flora of Vietnam
Текст оригинальной этикетки:
FLORA OF VIETNAM
Fam. Asteraceae
Vernonia sp.

Northern Vietnam, Lao Cai Prov., Van Ban Distr., Khanh Yen Ha municipality, to the S of Na Nheo village (in the vicinity of point 21ш59'04''N, 104ш15'08''E). Primary closed broad-leaved evergreen wet submontane forest on steep granite and quartzite slopes of stream canyon at elev. 900-1150 m a.s.l. Woody (semi woody) vine about 10 m lg in open place. Common.
No HAL 2808 27 March 2002
Collectors: L.Averyanov, P.K.Loc, D.T.Doan (FFI Project).
Создание записи: 2026-02-26, Galina Savich, PhotoScan D2
Цитирование: Образец LE 01318924 // Виртуальный гербарий Ботанического института им. В. Л. Комарова РАН — http://rr.herbariumle.ru/01318924
Подробнее...
LE 01318923

LE 01318923

Vernonia sp.⁣ det. Averyanov, Leonid Vladimirovich at 28.05.2004

Коллекторы: Averyanov, Leonid Vladimirovich; et al. Полевой номер образца: HAL4978. Дата сбора: 28.05.2004.
Административные регионы: VN - Tinh Bac Kan.
Группы образцов: L. V. Averyanov specimens; L. V. Averyanov herbarium; Flora of Vietnam
Текст оригинальной этикетки:
FLORA OF VIETNAM
Fam. Asteraceae
Vernonia sp.

N.Vietnam, Bac Kan Prov., Na Ri Distr., Liem Thuy Municipality, village Lung Vai, around point 21є57'18''N, 106є06'12''E, at elevation 500-700 m a.s.l. Primary broad-leaved evergreen closed wet forest on very steep slopes and cliffs of rocky ridges and mesae composed with white solid marble-like crystalline limestone. Woody vine or climbing shrub on very steep open rocky slope. Flowers white. Occasional.
No HAL 4978 28 May 2004
Collectors: L.Averyanov, N.T.Hiep, P.V.The, N.T.Vinh.
Создание записи: 2026-02-26, Galina Savich, PhotoScan D2
Цитирование: Образец LE 01318923 // Виртуальный гербарий Ботанического института им. В. Л. Комарова РАН — http://rr.herbariumle.ru/01318923
Подробнее...
LE 01318922

LE 01318922

Vernonia sp.⁣ det. Averyanov, Leonid Vladimirovich at 12.06.2004

Коллекторы: Averyanov, Leonid Vladimirovich; Phan Ke Loc; et al. Полевой номер образца: HAL5682. Дата сбора: 12.06.2004.
Административные регионы: VN - Tinh Cao Bang.
Группы образцов: L. V. Averyanov specimens; L. V. Averyanov herbarium; Flora of Vietnam
Текст оригинальной этикетки:
FLORA OF VIETNAM
Fam. Asteraceae
Vernonia sp.

N.Vietnam, Cao Bang Prov., Trung Khanh Distr., Ngoc Khe Municipality, Pac Nga village, around point 22є54'59''N, 106є31'44''E, at elevation 700-800 m a.s.l. Remnants of primary broad-leaved evergreen and coniferous forest along tops of rocky ridges and mesae composed with light gray solid marble-like highly eroded crystalline limestone.
Hemiwoody vine or climbing shrub 2-3 m tall. Flowers white, fragrant. Common.
No HAL 5682 12 June 2004
Collectors: L.Averyanov, P.K.Loc, P.V.The, N.T.Vinh.
Создание записи: 2026-02-26, Galina Savich, PhotoScan D2
Цитирование: Образец LE 01318922 // Виртуальный гербарий Ботанического института им. В. Л. Комарова РАН — http://rr.herbariumle.ru/01318922
Подробнее...